चक्रवात अंपुनको अप्रत्यक्ष प्रभाव, सतर्कता अपनाउन आग्रह

डिसी नेपाल
७ जेठ २०७७ ११:३३

काठमाडौँ । नेपालमा स्थानीय वायुको प्रभावसँगै चक्रवात अंपुनको अप्रत्यक्ष प्रभाव रहेको छ ।

मौसम पूर्वानुमान महाशाखाले चक्रवात अंपुनको अप्रत्क्षय प्रभावले बदलीसँगै पूर्वी भूभागका धेरै स्थानमा, मध्य भूभागका केही स्थानमा र पश्चिमी भूभागका एक–दुई स्थानमा मेघगर्जन, चट्याङ र हावाहुरीसहित हल्कादेखि मध्यम वर्षाका साथै हिमाली भूभागमा हिमपातको समेत सम्भावना भएको जनाएको छ।

चक्रवात अंपुनको अप्रत्यक्ष प्रभावले आज देशभर सामान्य बदली रही पूर्वी भूभागका धेरैजसो स्थानहरु, मध्य भूभागका केही स्थानमा र पश्चिमी भूभागका एक–दुई स्थानमा मेघगर्जनसहित हल्का वर्षाको सम्भावना रहेको मौसमविद् शान्ति कँडेलले बताए ।

खोलानालामा जलप्रवाहसमेत बढोत्तरी हुने सम्भावना रहेकाले आवश्यक सतर्कता अपनाउन समेत महाशाखाले आग्रह गरेको छ ।

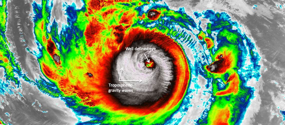
शुरुमा बङ्गालको खाडीमा विकसित भएको न्यूनचापीय मौसमी प्रणाली १६ मे, २०२० साँझ चक्रवातमा विकसित भएको थियो।

यस चक्रवातको नाम अंपुन नामाङ्कन गरिएको छ । उक्त चक्रवात शुरुमा उत्तर–उत्तरपश्चिम दिशातर्फबाट अगाडि बढ्दै गरेकामा पछि उत्तर–उत्तरपूर्वतर्फ अगाडि बढिरहेको छ ।

यो चक्रवात अझ शक्तिशाली बन्दै भारतको पश्चिम बङ्गाल÷बङ्गलादेशको तटीय क्षेत्रतर्फ अगाडि बढिरहेको छ।

मौसमविद् कँडेलका अनुसार नेपालमा अंपुन चक्रवातको प्रत्यक्ष प्रभाव नरहे पनि यसको अप्रत्यक्ष प्रभावबाट देशको खासगरी पूर्वी र मध्य क्षेत्रको मौसम आगामी तीन/चार दिन प्रभावित हुनेछ।

हाल देशको सुदूरपश्चिम र प्रदेश नं ५ को तराईका भूभागबाहेक अन्य सबै स्थानमा सामान्य बदली रही केही स्थानमा वर्षा भइरहेको छ ।

दिउँसो देशको पूर्वी भूभागमा पूर्ण बदली तथा मध्य भूभागमा आंशिक बदली रही पूर्वी भूभागका धेरै स्थानमा तथा मध्य भूभागका केही स्थानमा मेघगर्जनसहित वर्षाको सम्भावना रहेको मौसम पूर्वानुमान महाशाखाले जनाएको छ।

भोलि देशको मध्य तथा पूर्वी भूभागमा पूर्ण बदली रही पश्चिमी भूभागमा आंशिक बदली भइ मध्य तथा पूर्वी भूभागका केही स्थानमा र पश्चिमी भूभागका एक–दुई स्थानमा मेघगर्जनसहित हल्कादेखि मध्यम वर्षाको सम्भावना रहेको बताइएको छ।

शुक्रबार देशको पूर्वी भूभागलगायत मध्य र पश्चिमी पहाडी भूभागमा सामान्यतया बदली रही पूर्वी भूभागका केही स्थान साथै मध्य र पश्चिमी पहाडी भूभागका थोरै स्थानमा मेघगर्जन, चट्याङसहित हल्कादेखि मध्यम वर्षाको सम्भावना रहेको औँल्याएको छ।

मौसम पूर्वानुमान महाशाखाको पछिल्लो विवरणअनुसार आज काठमाडौँ उपत्यकाको न्यूनतम तापक्रम १८ दशमलव चार डिग्री र अधिकतम तापक्रम २९ दशमलव छ डिग्री सेल्सियस रहेको छ।

आज सबैभन्दा कम जुम्लाको न्यूनतम तापक्रम सात दशमलव तीन डिग्री र सबैभन्दा बढी धनगढीको अधिकतम तापक्रम ३९ दशमलव छ डिग्री सेल्सियस रहेको छ। रासस




प्रतिक्रिया

Leave a Reply

Your email address will not be published. Required fields are marked *